58ABK1GG2HU077716 Lexus ES 350 2017 Grey – history, photos, price

Description

This Lexus ES 350 2017 Grey was originally purchased at one of the major insurance auctions in the United States or Canada. The vehicle history is tied directly to its VIN code, which makes it possible to track the origin, condition, and circumstances of the sale. The photographs provided represent the actual state of the car at the moment of auction and serve as an important visual record of its technical and cosmetic condition.

Careful examination of these images is recommended, since they allow potential buyers, researchers, or automotive experts to evaluate the true state of the lot. Photographs often display details that may not be explicitly mentioned in the description — scratches, dents, missing elements, or other defects typical for vehicles sold at insurance auctions.

Technical specifications

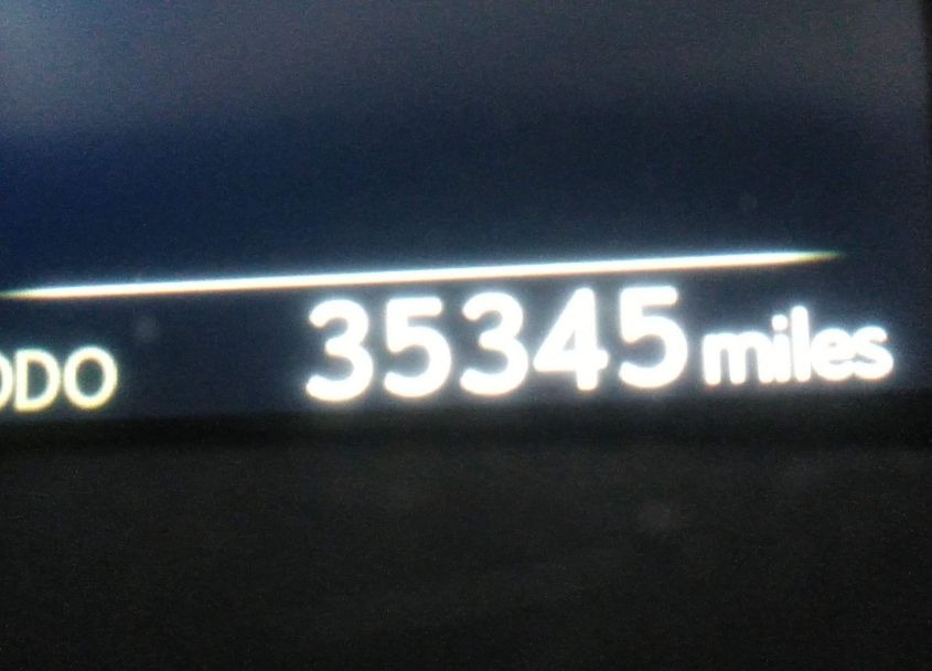
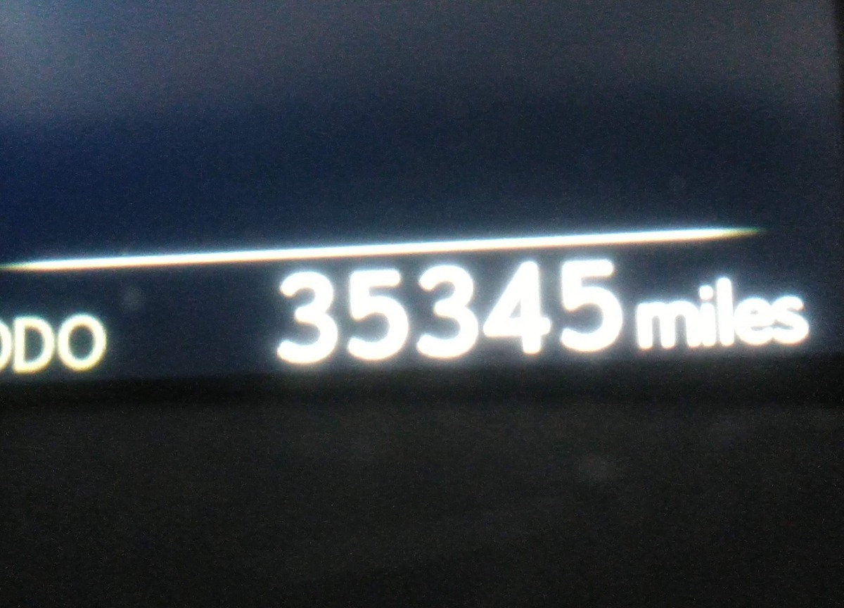
The Lexus ES 350 2017 Grey is equipped with a 3.5l v-6 dohc, vvt, 268hp engine. This power unit is known for its efficiency and reliability, and it is part of modern generation of engines designed to balance performance with fuel economy. According to the auction data, the vehicle was registered with only 35345 of mileage at the time of sale.

Condition and damages

At the moment of the auction, the following types of damage were recorded:

  • Primary damage: Front End
  • Secondary damage: Unknown

It is important to note that at insurance auctions, every vehicle is sold with some form of defect or damage. The degree of severity varies from minor cosmetic issues to serious technical faults. In the case of this car, the documented damages should be carefully reviewed alongside the photographic evidence to form a complete understanding of the vehicle’s state.

Additional information

Each lot presented on our website includes comprehensive information tied to the VIN code. This allows users to cross-check vehicle data, verify the history of ownership, and confirm accident or insurance records. The Lexus ES 350 2017 Grey corresponds to a car that was listed through one of the large insurance auctions in USA, which guarantees traceability and transparency of the information.

For a full understanding of the condition of this Lexus ES 350 2017 Grey, it is strongly advised to analyze all available materials — both technical specifications and auction photographs. Such analysis provides the most objective picture of the car’s history, its advantages, and its potential defects.

  • Engine: 3.5l v-6 dohc, vvt, 268hp
  • Fuel: Gasoline
  • Make: Lexus
  • Model: ES 350
  • Odometer: 35345
  • Primary damage: Front End
  • Sale date: 2024-06-11
  • Secondary damage: Unknown
  • Year: 2017

VIN:58ABK1GG2HU077716

Lexus ES 350 2017 Grey

4 950,00 $

MakeLexus

ModelES 350

Sale date2024-06-11